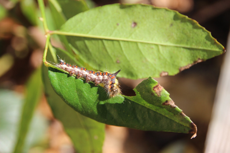
Observation n° 3246 Acronicta psi

Informations

Donnée considérée certaine, très probable

Source de la donnée : Terrain
Type de donnée : Privée

Date : 03/10/2016

Date de saisie : 01/01/2026
Modifiée le 04/01/2026

Localisation

- Le Val-d'Ajol (88)
Altitude : 572 mètres

Observateur(s) (OISEAUX NATURE)

avatar Vincent ETIENNE

Détail de l'observation

Naturalité : Sauvage
- Chenille ( 1 non différencié(s) ). Etat biologique : Observé vivant
Contact : Vu
Prospection : A vue
Statut biologique : Non renseigné
Comportement : Inconnu
Déterminateur : Vincent ETIENNE

UUID SINP : 5bbbe162-c139-47b5-b782-2de186f604d6

Signaler une erreur

Photo(s)

Commentaire(s)

avatar
Par Michel STOECKLIN, 02/01/2026 - 11:56

A priori, il s'agit d'Acronicta psi cf : https://lepiforum.org/wiki/page/Acronicta_psi#Lebendfotos-Ausgewachsene_Raupe


Facebook Linkedin email